Flygtningelejr nr. 126. "Dragørlejren"........Webmaster: Dines Bogø
Flygtningelejr 126: GenereltI 1944 oprettede Luftwaffe en del mindre baraklejre syd for Københavns Lufthavn i Store Magleby kommune.
Flere af lejrene blev udbygget med svenske barakker i slutningen af 1945 og indrettede til større lejre for tyske flygtninge.
Lejrene blev gradvis nedlagt i 1947 og flygtningene hjemsendt eller samlet i større lejre primært i Jylland.

I lejr nr. 126 lå der en stor korsformet murstensbygning. Kantine, køkken, biograf og kontorer. (Foto: Arne Glud, der var CB-vagt i lejren).
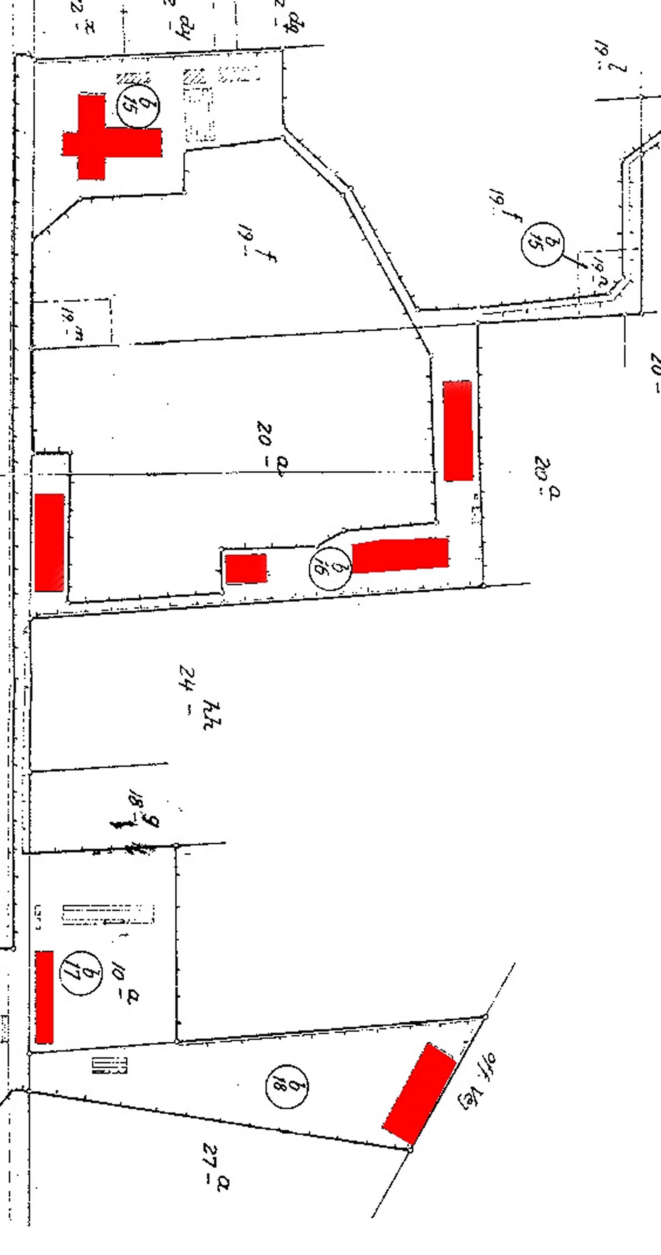
De tyske og svenske træbarakker blev solgt. Murstensbygningen, der lå på Jægervej 15-17 og P. Petersens Allé 18-20 kunne måske bruges? Der blev søgt om at bevare den. Bl.a. ville man indrette en fabrik, men i.flg. servitutterne skulle området være et villakvarter.

Tv. Mandskbet står ved hovedindgangen, der lå på nuv. Jægervej 10. Th. står CB-vagterne foran den korsformodede bygning. (Fotos: Arne Gluds arkiv).

Kort der viser de oprindelige tyske barakker, der stod spredt af hensyn til evt. allieret luftangreb.

Del af lejr nr. 126 taget af Sylvest Jensen. Den korsformede bygning ses øverst til venstre. Den tynde vej er Jægervej og den brede cementvej er en 12 m bred tysk rullebane me forgrening til tre felthangarer (jordvolde).
Tv. Dirch Jansen foto ca. 1949. Midt. Tysk lejrchef Müller og to tyske flygtninge, der arbejdede på kontoret. Th. Flygtningeorkesteret. Kantinen i bygningen kunne indrettes til biograf og festsal.

Fotograf Dirch Jansen (1943-2019) tog et par fotos af den korsformede bygning, tyskerne havde bygget på en jordlod, der engang havde tilhørt slægtsgården Aldershvile. Efterfølgende har Dirch Jansen forsøgt med datidens værktøjer at forbedre det lille foto fra 1949.

11. maj 1947. Området med lejr 126. Alle træbygninger er sat til salg af Staten. Man kunne henvende sig om køb hos en dansk medarbejder fra "Udvalget til Realisation af Barakker", Arbejds- og Socialministeriet, der boede i barakbygningn Jærgervej 1-5.